إشترك في النسخة الرقمية لجريدة الصباح و LE TEMPS

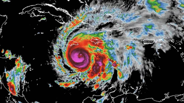
رياح مدمرة وعواصف وفيضانات.. إعصار ميليسا يصل أعلى فئة بمنطقة البحر الكاريبي

أعلن مركز الأعاصير الوطنى الأمريكى (NHC) أن إعصار ميليسا بلغ الآن الفئة الخامسة، وأن الرياح المدمرة والعواصف العاتية والفيضانات الكارثية ستزداد سوءا تدريجيا فى جامايكا طوال اليوم وحتى المساء.
 
وقال مركز الأعاصير الأمريكى، ومقره ميامي - على موقعه الإلكتروني، اليوم الاثنين، "إن إعصار ميليسا بلغ أعلى فئة في منطقة البحر الكاريبي، متوقعا رياحا مدمرة وفيضانات كارثية في جامايكا.
 
وأضاف أن متوسط سرعة رياح ميليسا بلغت 140 عقدة في الدقيقة، وضغط جوي أدنى يبلغ 917 هيكتوباسكال، فيما من المتوقع أن تشهد جامايكا ظروفا كارثية خلال الساعات القادمة أثناء مرور الإعصار.
 
وكان مركز إعصار ميليسا يقع على بعد نحو 190 كيلومترا جنوب شرق (كينجستون) عاصمة جامايكا، وعلى بعد 450 كيلومترا جنوب غرب خليج جوانتانامو، كوبا.
 
وكالات 
 
رياح مدمرة وعواصف وفيضانات.. إعصار ميليسا يصل أعلى فئة بمنطقة البحر الكاريبي
أعلن مركز الأعاصير الوطنى الأمريكى (NHC) أن إعصار ميليسا بلغ الآن الفئة الخامسة، وأن الرياح المدمرة والعواصف العاتية والفيضانات الكارثية ستزداد سوءا تدريجيا فى جامايكا طوال اليوم وحتى المساء.
 
وقال مركز الأعاصير الأمريكى، ومقره ميامي - على موقعه الإلكتروني، اليوم الاثنين، "إن إعصار ميليسا بلغ أعلى فئة في منطقة البحر الكاريبي، متوقعا رياحا مدمرة وفيضانات كارثية في جامايكا.
 
وأضاف أن متوسط سرعة رياح ميليسا بلغت 140 عقدة في الدقيقة، وضغط جوي أدنى يبلغ 917 هيكتوباسكال، فيما من المتوقع أن تشهد جامايكا ظروفا كارثية خلال الساعات القادمة أثناء مرور الإعصار.
 
وكان مركز إعصار ميليسا يقع على بعد نحو 190 كيلومترا جنوب شرق (كينجستون) عاصمة جامايكا، وعلى بعد 450 كيلومترا جنوب غرب خليج جوانتانامو، كوبا.
 
وكالات